€ 179.000
Bouwgrond
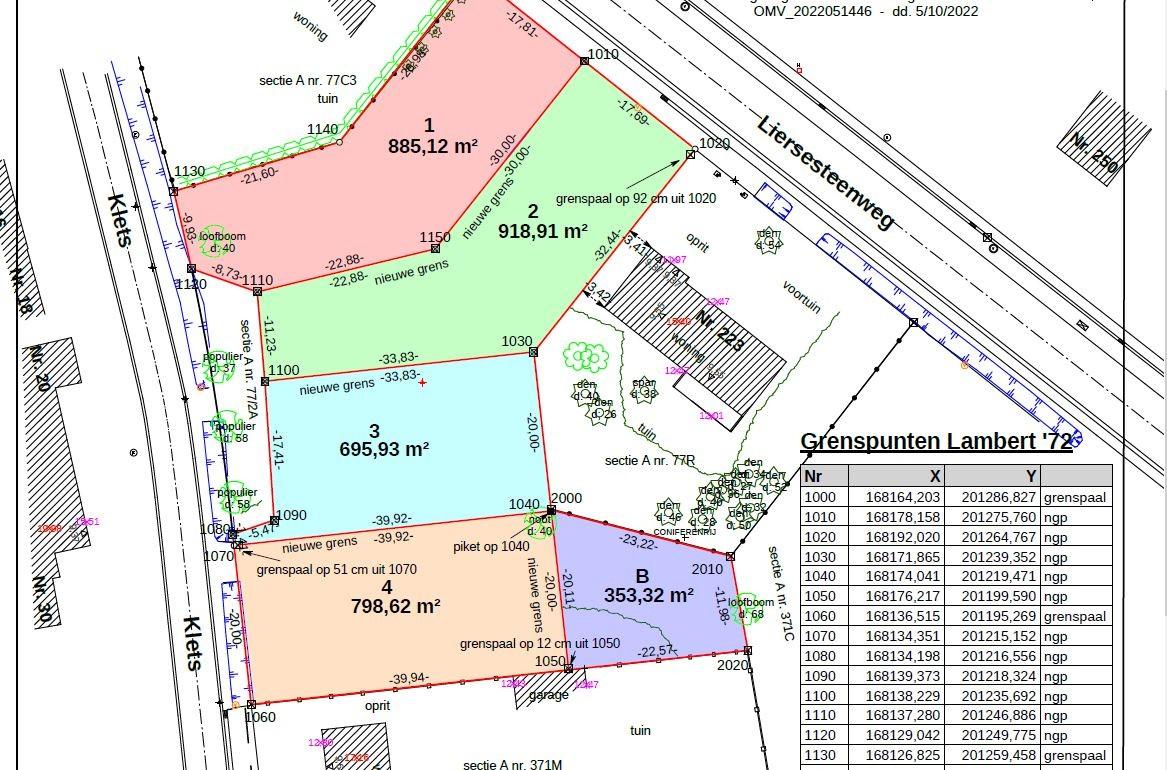
Klets lot 3
2590 Berlaar
695.93 m²
BOUWGROND OB | 695,93 m² | LOT 3
Bouwgrond voor open bebouwing met een oppervlakte volgens meting van 695,93 m².DIt perceel is gelegen langs de doodlopende weg 'Klets'.
De zone voor het hoofdgebouw bedraagt 14 meter x 14 meter.
Auto's dienen inpandig en/of onder een carport in de zijtuinstrook te worden voorzien.
In de tuin mag een tuinhuis worden voorzien van 12 m².
Voor meer info, bel 0473 33 33 33 of mail philip@wijns.be
Kenmerken
Documenten
Algemene Informatie
referentie3792942
Energieprestaties
Gebouw
Terreinoppervlakte695.93 m²
Indeling
Kamer
Aantal
Aantal m²
Verdieping
Overstromingsgevoeligheid
Afgebakende oeverzone Niet van toepassing
Perceelscore A
Stedenbouwkundige informatie
Verkavelingsvergunning Ja
Bouwvergunning Nee
Gevalideerd as-builtattest Nee
Beschermd erfgoed In aanvraag
Recht van voorkoop Nee
Dagvaarding voor stedenbouwkundige overtreding Nee
Stedenbouwkundige bestemming Woongebied met landelijk karakter
Map is loading
Bezoek
pand
Scan de code om een bezoek in te plannen.
